Hawaii Battens the Hatches for Hurricane Lane
Hurricane Lane, the rare storm battering the Hawaiian Islands this week, could cause heavy steam and rockslides on the Kilauea volcano.
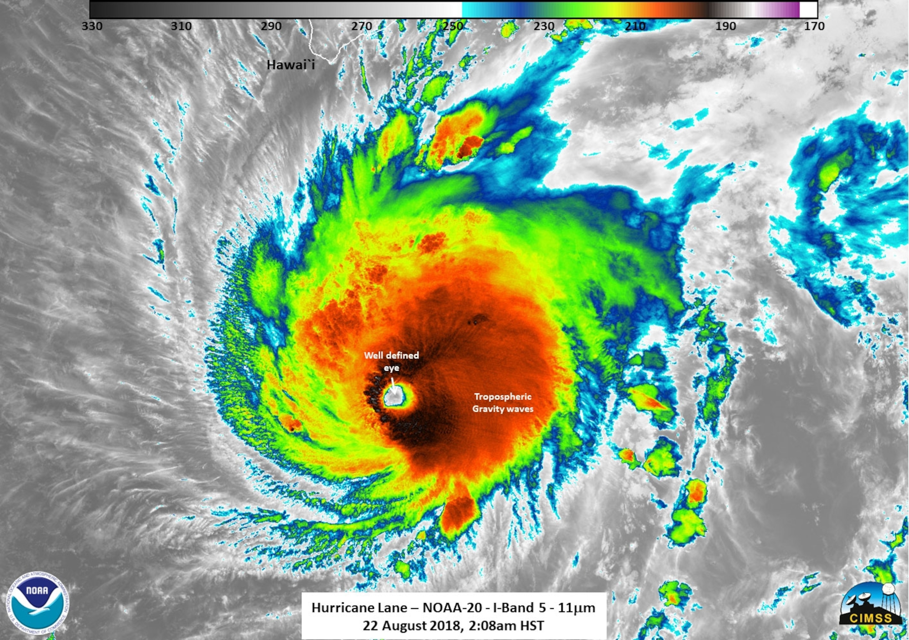
Hurricane Lane has moved off the Hawaiian Islands, leaving behind two feet of rain. The rains caused extreme flooding on the Big Island and landslides blocked roads. Flash flood warnings are still in effect. The storm also generated white-out conditions around Mount Kilauea, the volcano that has been erupting for months, experts say. (Learn more about hurricanes.)
"Steam created from #HurricaneLane rain falling on still hot rocks has created white-out conditions in #Kilauea's #LERZ," tweeted the U.S. Geological Survey's Hawaii volcano division on Sunday. Otherwise, though, the volcano has simmered down.
Lane was a rare occurrence for the Pacific island chain. The last time such a huge storm attacked Hawaii was in 1992, when Hurricane Iniki landed as a Category 4 storm, causing severe damage to the state.
Hawaii’s Big Island has been dealing with another natural disaster for the past few months. Beginning in May, Kilauea spewed ash, steam, and lava, prompting mandatory evacuations. It even reshaped the island. (Related: Why Do So Many People Live Near Active Volcanoes?)
Danger to Coral
Hawaii's coral reefs are being monitored, and surveys will be completed after the storm passes to assess any damage.
Cyclones and storms can greatly damage reefs, according to a 1994 NOAA study.
“The severity of the damage depends on how close it comes to shore. The intensity of the storm is going to degrade as it approaches, so we’ll monitor afterwards and try everything we can to repair our reefs if needed,” says David Delaney, coral program specialist for the Hawaii Division of Aquatic Resources.
Torrential rainfall can wash sediment and pollutants from land into sea, smothering reefs. Wave energy from large swells can also cause damage.
Hawaii's reefs are already battling a variety of stressors, including coral bleaching, land-based pollutants, and overfishing.
Changes in sea level, salinity, and sedimentation can damage coral in all stages of life. Turbid, murky waters and algal blooms are prevalent after a storm, inhibiting coral growth and recovery, an effect that can last from years to centuries, depending on the severity of the storm, experts say.
The damage isn't just contained to coral themselves. They provide habitat to many different marine species that will also be impacted.
“They’re kind of like the rain forest of the ocean, they have a lot of biodiversity that they support, and some of the species are more vulnerable than others,” says Delaney.
Extensive damage to coral was recorded in the Atlantic after Hurricanes Irma and Maria in 2017.
“Coral are critically important here in Hawaii, culturally, economically, ecologically, for seafood security, coastal protection, and so many other reasons. We really need to do everything to protect them,” Delaney says.
This article originally published on August 22, 2018. It is being updated with the latest developments from Hurricane Lane.








